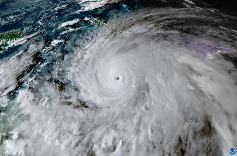
Власти Ямайки объявили страну зоной бедствия после урагана пятой категории «Мелисса»
После разрушительного урагана пятой категории «Мелисса», который обрушился на страну, власти Ямайки заявили о введении режима бедствия, сообщил премьер-министр Эндрю Хоулнесс, сообщает OGlavnom.
Решение об объявлении страны зоной бедствия принято на основании рекомендации Управления по готовности к стихийным бедствиям, согласно закону об управлении рисками стихийных бедствий. Указ вступает в силу 28 октября 2025 года.
«Первоочередной задачей правительства всегда является безопасность и благополучие каждого ямайца. Мы предприняли превентивные меры, объявив страну зоной, находящейся под угрозой, когда стихия приближалась к Ямайке. Ураган «Мелисса», беспрецедентной категории, сейчас находится здесь и движется по острову», — заявил премьер-министр.
Ураган «Мелисса» достиг побережья Ямайки 28 октября, вызвав сильные наводнения и значительные разрушения. После выхода на сушу, ураган ослаб до четвёртой категории и продолжил движение на северо-северо-восток в направлении восточной части Кубы, а в дальнейшем, по прогнозам метеорологов, направится к Багамским островам.
