ураган

Си Цзиньпин направил соболезнования Ямайке после урагана "Мелисса"
04.11.2025 23:37

Си Цзиньпин направил соболезнования Ямайке после урагана «Мелисса»

Си Цзиньпин направил соболезнования в связи с ураганом «Мелисса» на Ямайке В результате урагана «Мелисса», обрушившегося на Ямайку, погибли по меньшей мере 32 человека, сообщает OGlavnom. Китай готов предоставить Ямайке помощь и
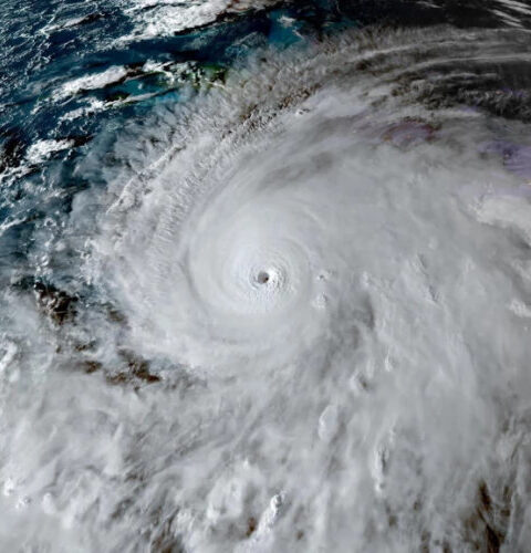
Ураган "Мелисса" движется к Ямайке и Кубе, ожидаются катастрофические осадки и оползни

Ураган «Мелисса» движется к Ямайке и Кубе, ожидаются катастрофические осадки и оползни

Ураган «Мелисса» движется к Ямайке и Кубе. Ожидается, что он вызовет наводнения, оползни и штормовые волны в регионе. Ураган «Мелисса» стал ураганом 4-й категории и направляется к Ямайке и Кубе. Прогнозируется, что
27.10.2025 12:27
Во Франции ураган "Бенжамен" оставил 140 тысяч домов без электричества

Во Франции ураган «Бенжамен» оставил 140 тысяч домов без электричества

Во Франции около 140 тысяч домов остались без электричества из-за урагана «Бенжамен». Об этом сообщает компания-оператор энергосетей Enedis. В числе пострадавших регионов Новая Аквитания на юго-западе Франции и Овернь-Рона-Альпы на юго-востоке. В
24.10.2025 10:27
Ураган «Эрин» достиг 4-й категории: под угрозой Багамы и Теркс и Кайкос

Ураган «Эрин» достиг 4-й категории: под угрозой Багамы и Теркс и Кайкос

Ураган «Эрин» усилился до 4-й категории, угрожая Багамским островам и Пуэрто-Рико Ураган «Эрин» в воскресенье вечером снова усилился, достигнув 4-й категории вблизи Багамских островов в Карибском бассейне, который уже пострадал от сильных
18.08.2025 16:07
Ураган "Эрин" усилился до четвертой категории и угрожает северным островам Карибского моря

Ураган «Эрин» усилился до четвертой категории и угрожает северным островам Карибского моря

Ураган «Эрин» достиг четвертой категории опасности, продолжают поступать бури Ураган «Эрин» продолжает набирать мощь, достигнув четвертой категории опасности, сообщает OGlavnom. Эпицентр шторма расположен примерно в 193 километрах к северо-востоку от Ангильи, а
17.08.2025 14:37
Ураган «Иона» движется к Гавайям, но угрозы для архипелага нет

Ураган «Иона» движется к Гавайям, но угрозы для архипелага нет

Ураган «Иона» и шторм «Кели» не угрожают Гавайям Две тропические системы — ураган «Иона» и шторм «Кели» — находятся в центральной части Тихого океана, в сотнях километров к юго-востоку от Гавайев, не
30.07.2025 10:57
Мощный ураган в Синае: снесена крыша вокзала, перекрыта трасса DN1, есть пострадавшие

Мощный ураган в Синае: снесена крыша вокзала, перекрыта трасса DN1, есть пострадавшие

На горный курорт Синая (Румыния) обрушился мощный ураган, который вызвал значительные разрушения и заторы на дорогах в среду днём. Крыша железнодорожного вокзала была сорвана ураганным ветром и выброшена на национальную трассу DN1,
09.07.2025 17:27
Чрезвычайная ситуация объявлена в Словакии

Чрезвычайная ситуация объявлена в Словакии

В результате мощного урагана, который обрушился на восток Словакии вечером 7 июля, был причинен значительный ущерб, в регионе введен режим чрезвычайной ситуации; пострадали также районы восточной Польши. Согласно сообщениям от Aktuality, информацию
08.07.2025 16:57
ЧП в Техасе: ураган обесточил более 160 000 жителей штата

ЧП в Техасе: ураган обесточил более 160 000 жителей штата

Сильный ураган лишил электроэнергии более 160 000 жителей северного Техаса в США Сильные порывы ветра в северной части штата Техас достигли отметки 35 м/с, что стало катализатором разрушений. Ураган повредил десятки линий
09.06.2025 18:47
Сильный ураган в Польше: десятки тысяч людей лишились электричества

Сильный ураган в Польше: десятки тысяч людей лишились электричества

Польша пережила сильный ураган, оставивший 30 000 человек без света Рост числа экстремальных погодных явлений в последние годы вновь проявился в Польше. Недавний ураган, обрушившийся на несколько регионов страны, оставил около 30
08.06.2025 14:52